Bornaer Stadtjournal

Änderung Verkehrsführung Leipziger Straße

Leipziger_Str
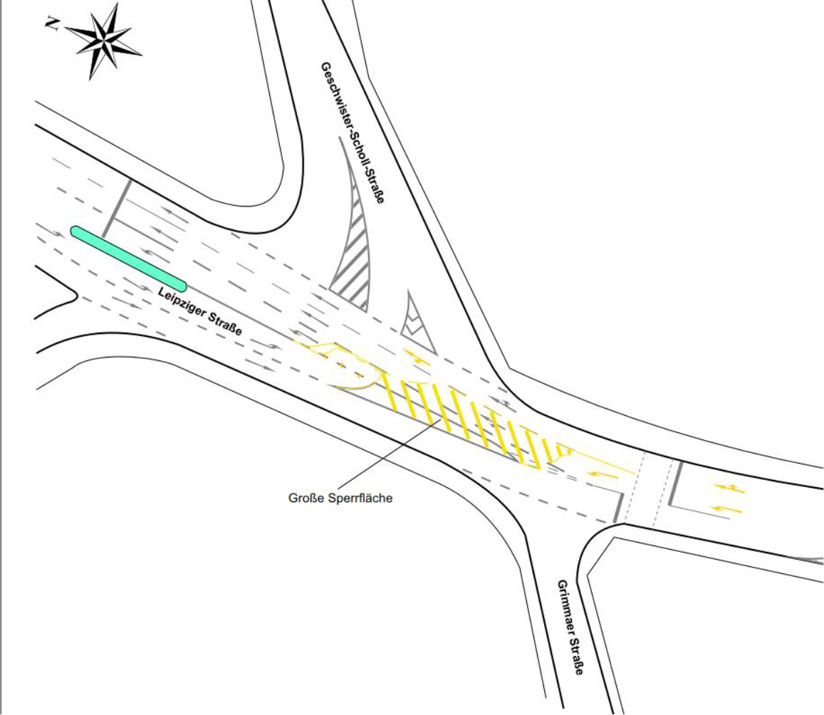
Aufgrund einer vermehrten Anzahl an Unfällen im Kreuzungsbereich Leipziger Straße / Geschwister-Scholl-Straße wird die Verkehrsführung in diesem Bereich durch ein Verkehrsversuch geändert. In Abstimmung mit der Verkehrsbehörde und der Polizei wird die Markierung geändert und die Sperrfläche im Kreuzungsbereich vergrößert.

Mit dieser Maßnahme soll dem aktuellen Unfallgeschehen entgegengewirkt und die Sicherheit aller Verkehrsteilnehmer erhöht werden. Die Anpassungen sollen in den kommenden Tagen umgesetzt werden und es wird empfohlen, besonders vorsichtig zu fahren und den geänderten Markierungen Beachtung zu schenken.

pm, Stadtverwaltung Borna

Previous PostNext Post